Guide price
£265,000
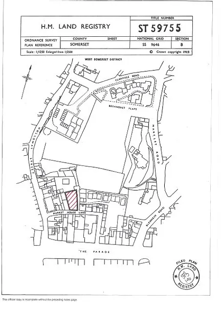
Market House Lane, Minehead, Somerset, TA24
Development plot for sale
Development plot

Whether you'd like to book a viewing, or need additional info, I'm here to help.
Property Description
Development Opportunity – For Sale
A substantial stone and brick built former industrial unit positioned just off the town centre, offering an excellent redevelopment opportunity. The property extends to approximately 438 sqm (4,715 sqft) and occupies a prominent and accessible site, making it suitable for a wide range of alternative uses, subject to the necessary consents.
Notably, the property previously benefited from full planning permission (granted August 2020) for the demolition of the existing building and the construction of 7 residential apartments together with approximately 164 sq m of ground floor retail / café / office accommodation. While this consent has now lapsed, it clearly demonstrates the site’s strong development potential and the local authority’s previous support for a mixed-use scheme.
The existing building is accessed via large sliding industrial doors, with an additional double-glazed pedestrian entrance. Internally, the ground floor provides a predominantly open-plan workshop area (formerly used as a laundry), incorporating a lobby area, two offices and WC facilities. To the rear of the property, an internal staircase leads to a first-floor storage area of appromimately 86.95 sqm (936 sqft) which also benefits from a separate external pedestrian access.
Given its town-centre fringe location, scale, and previous planning history, the property is considered well suited for residential, mixed-use or alternative redevelopment, subject to planning, or for refurbishment and reuse for a variety of commercial or light industrial purposes.
LEGAL ADVICE
We strongly recommend that a buyer takes independent legal advice and instructs solicitors to act on their behalf.
PLANNING
It is the responsibility of the proposed buyer to satisfy for themselves independently that their intended use complies with existing planning permission by contacting the local council planning department. The cost of any change of planning use is the buyer’s responsibility.
BUSINESS RATES
At present £22,250 rising to £25,000 UBR, as of April 2026, 47.9p in the £.
Our Rateable Value figure has been obtained from the Business Valuation website at the time of the property detail going to print, however, we would advise all applicants make their own enquiries via the Valuation Office or website regarding this figure.
VAT
We understand that our client has not opted to charge VAT. All interested parties should make their own enquiries of HMRC.
VIEWING
Strictly by appointment through the selling agents.
Key Information
Tenure:
Freehold
Places of Interest












Similar Properties Alerts
Get notified when similar properties to this come on the market.
Create email alert


